Please note: this is an archived news article release
This article was published on Thursday, 4 April, 2024. The information contained within may be out of date or inaccurate. News articles and media releases older than 60 days are archived for future reference.
Posted on Thursday 4th of April, 2024,
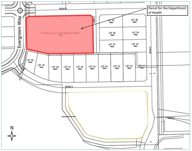
Greater Shepparton City Council has agreed to sell part of the land at 45 Parkside Drive, Shepparton to facilitate an Early Parenting Centre and staff accommodation, with the decision made at the March Council Meeting on Tuesday 26 March.
Summary
Read the full story below.
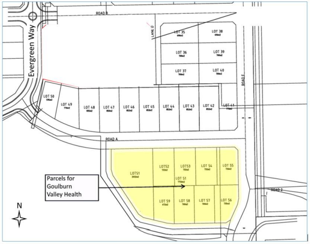
The sale comes following two separate expressions of interest which Council received last year from the Department of Health and Goulburn Valley Health to purchase part of the land for future developments.
Purchase of part of the site, a 5,985m2 allotment, will enable the Department of Health to deliver a new Early Parenting Centre which will ensure parents are supported when it comes to sleeping, feeding, and extra care for babies with additional needs. The facility will provide consistent, high-quality service tailored to local needs and offer a range of other education, programs, and parenting advice.
The purchase of the other 7,761m2 allotment will enable GV Health to provide staff accommodation for clinical personnel. Growing workforce and accommodation demands are the most limiting factor for GV Health to attract and retain professional talent to the region. The delivery of staff accommodation will assist in attracting and retaining much needed health service professionals.
45 Parkside Drive is a vacant Council-owned site that is part of the Parkside Gardens Estate, which was partly developed as a joint initiative between Council and Vic Urban (now Places Victoria) in the early 2000’s. The site is appropriately zoned for residential development.
At the November 2023 Council Meeting, Council resolved to undertake community engagement in relation to its intention to sell part of the land at 45 Parkside Drive. Community consultation took place over four weeks last year, with Council receiving nine submissions both for and against the proposed developments.
Council Officers are currently undertaking a feasibility study to consider options of how to best develop the remaining stages of the Parkside Gardens Estate, which Council believe will address any objections received. This study will include lot size and layout, staging, review of the road network and improving the interface between the developable area and the sporting precinct and Verney Road School site (former Wanganui Park Secondary College site). A report to further consider any future work will be presented to Council in due course.
While Council has made the land available, it is now up to the purchaser to complete the appropriate due diligence to progress with the site.
Mayor, Councillor Shane Sali, said the sale of land will assist in providing much-needed health services for the region.
“Council considers the two proposals to be effective ways to improve health outcomes and social wellbeing for babies and their families in Greater Shepparton. It also provides much needed accommodation to attract and retain health service professionals in the region,” he said.
“These developments align with the future vision of Parkside Garden’s as a residential area, which is important to consider in any sale of land such as this. Council look forward to working with the Department of Health and GV Health to progress these projects.”
More News from Greater Shepparton
Tuesday 31st of March,
We are at Cat-pacity! Adopt a Cat this April and find your purr-fect match
Greater Shepparton City Council is encouraging community members to open their hearts and homes this April to one of the many cats and kittens waiting at the Shepparton Animal Shelter. Read more
Tuesday 31st of March,
RiverConnect Historical Flood Information Signage project completed
The updated RiverConnect Historical Flood Information Signage project has now been completed, delivering refreshed and improved flood history signage across Mooroopna, Kialla, Shepparton and Murchison. Read more
Tuesday 31st of March,
Toolamba Multi-Sport Court Redevelopment officially opened
Greater Shepparton City Council officially opened the Toolamba Multi-Sport Court Redevelopment on Monday, marking an exciting milestone for the Toolamba community. Read more
Monday 30th of March,
Council endorses staged approach to Tatura growth planning
Greater Shepparton City Council has endorsed a staged approach to the Tatura Precinct Structure Plan, allowing unconstrained areas to continue progressing while further technical investigations are undertaken in flood‑affected areas. Read more
Monday 30th of March,
Congupna Structure Plan preparation deferred for further flood studies
Greater Shepparton City Council has deferred preparation of the Congupna Structure Plan to allow for further detailed flood studies to be undertaken for the Broken River through to Broken Creek. Read more
Friday 27th of March,
Council moves to secure future of Victoria Lake Caravan Park
Council has taken an important step towards securing the long-term future of the Victoria Lake Caravan Park in Shepparton, resolving to proceed with the purchase of Crown land within the site. Read more
See All News
Want to get the latest news and events in your Facebook feed?
Just go to our Facebook page and click the Like button.
More Events in Greater Shepparton
Thursday 2nd of April,
Mindful Colouring for Adults at Shepparton Library
Join us at Shepparton Library for this calming and relaxing program. Read more
Wednesday 1st of April,
After School LEGO Club at Shepparton Library
Drop in after school and join the fun! Read more
Saturday 4th of April, – to Saturday 18th of April,
Live Music in Maude Street
Head into Shepparton CBD and enjoy local performances these school holidays. Read more
Monday 6th of April,
Mighty Movers
Active play is the best play. Read more
Tuesday 7th of April, – to Friday 17th of April,
The Book Inn Book Sale
We have a huge range of good quality books available, for everyone! Read more
Tuesday 7th of April,
Sweet Peas Gymnastics
Introduce your little one to movement, balance and confidence with Sweet Peas Gymnastics. Designed especially for toddlers and pre-schoolers, these sessions focus on fun, safe skill‑building through play,… Read more
See All Events